
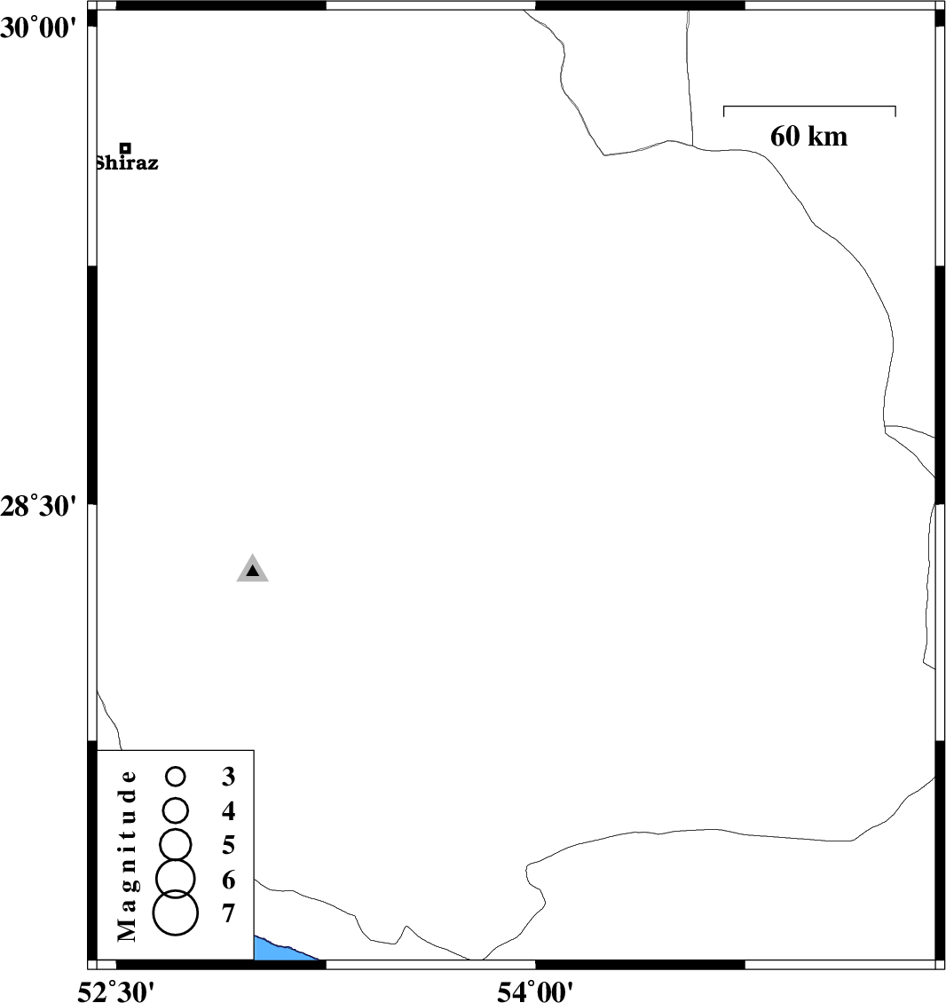
Prel. Rep. | Date | Time(UTC) | Time(Local) | Lat. | Lon. | Depth | Mag. | Region | Waveform |
2019/09/06 | 14:22:50.9 | 18:52:50.9 | 28.55 | 53.93 | 11 | ML3.5 | Fars Province, 37 km -East of Jahrom |
© IIEES All Rights Reserved
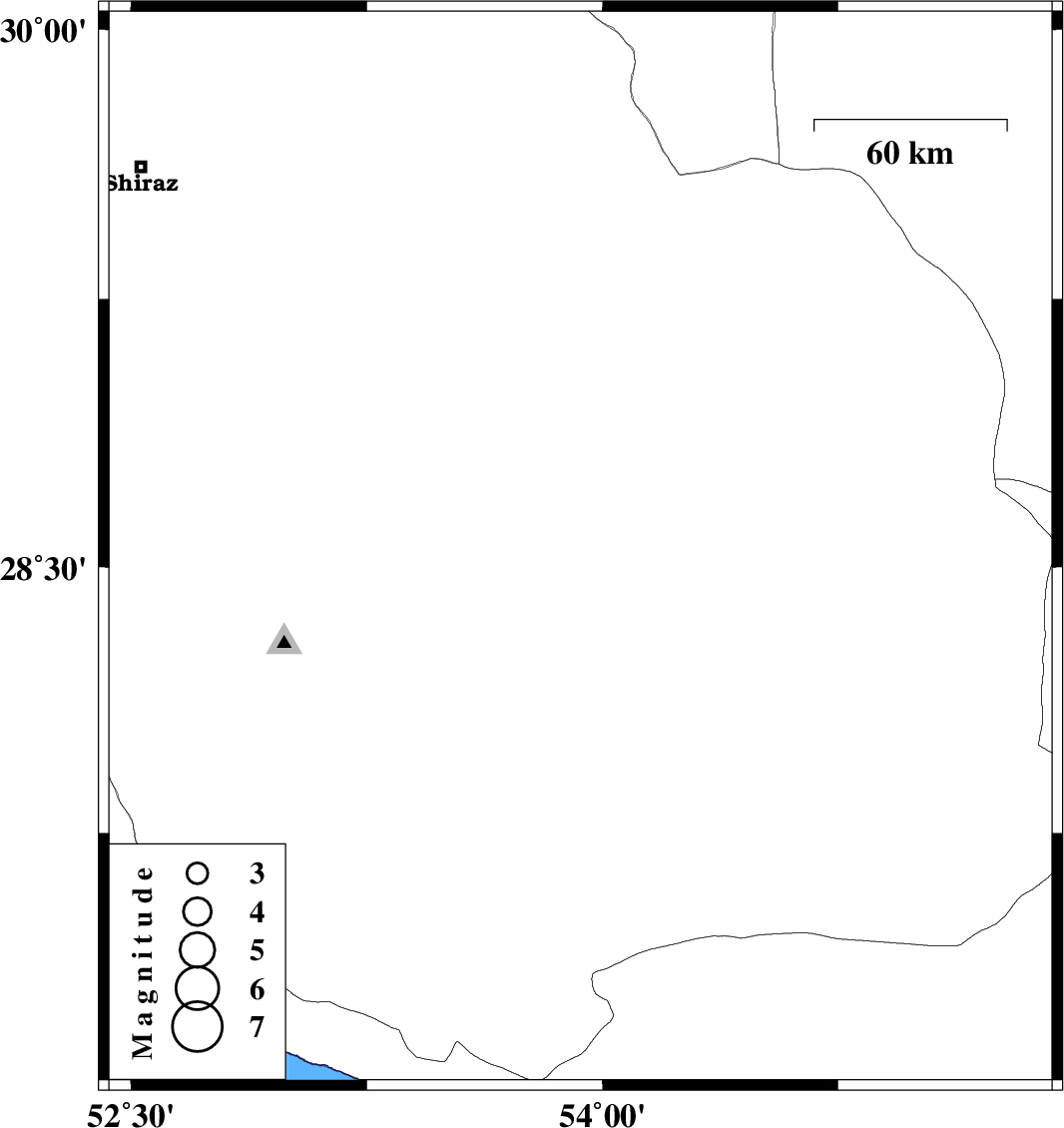
Prel. Rep. | Date | Time(UTC) | Time(Local) | Lat. | Lon. | Depth | Mag. | Region | Waveform |
2019/09/06 | 14:22:50.9 | 18:52:50.9 | 28.55 | 53.93 | 11 | ML3.5 | Fars Province, 37 km -East of Jahrom |